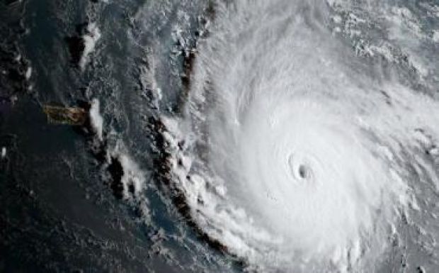
Evakuálják a magyar állampolgárokat Saint Martin szigetéről
Szijjártó Péter magyar külgazdasági és külügyminiszter utasítást adott az Irma hurrikán által sújtott Saint Martin szigetén tartózkodó magyar állampolgárok mielőbbi evakuálására.
A politikus a hurrikán miatt veszélybe került magyarokkal összefüggésben hétfői budapesti sajtótájékoztatóján kifejtette: kilenc állampolgárról tudnak, alapvetően párokról. Valamennyien szeretnék elhagyni a szigetet - közölte a miniszter.
Közülük hattal közvetlenül, hárommal családtagjaikon keresztül tartják a kapcsolatot - tette hozzá. A miniszter elmondása szerint az egyik párral személyesen is kapcsolatban van, és kapnak tőlük értékes információkat.
Szijjártó Péter közölte: a holland és az amerikai válságközponttal folyamatosan kapcsolatban állnak, de azok egyelőre saját polgáraik mentésével vannak elfoglalva. Megjegyezte: délután egy órakor Hágában a holland külügyminisztériummal lesz egyeztetés az evakuálási folyamatról, talán akkor megtudnak többet is. Számukra, illetve az evakuálásba most bekapcsolódott francia hatóságoknál a magyar állampolgárok adatait, elérhetőségeit regisztrálták, és kérték őket, hogy amint lehetőségük van, hozzák el őket - mondta Szijjártó Péter. Jelezte: emellett egy amerikai hajózási vállalkozással is kapcsolatban vannak, amelynek egy hajója ki tudott kötni a szigeten, illetve utasítást adott repülőgép bérlésére Dominikán.
Ugyanakkor a természeti csapás nyomán az infrastrukturális és kommunikációs lehetőségek erőteljesen megcsappantak, és eddig csak katonai gépek kaptak leszállási engedélyt a szigeten - mondta a miniszter, aki szerint jól látható, a hatóságokat is váratlanul érte a pusztítás mértéke. Szijjártó Péter rámutatott: ha magyar állampolgárok veszélyben annak, és el akarnak jönni valahonnan, az a kötelességük, hogy segítsenek. Megjegyezte: az ügy megoldása eddig a legnehezebb azok közül, amellyel szembesültek, de azon vannak, hogy megoldást találjanak.


